Veelzorg – Hillegom
2016
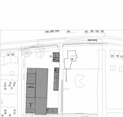
Aan de verbindingsweg tussen het centrum en het station van Hillegom ligt kwekerij Veelzorg.
Op deze voormalige bloembollenkwekerij zal woningbouw worden gerealiseerd. Beeldbepalende elementen en reeds aanwezige sfeer zullen zoveel mogelijk worden benut. Het kantoorgebouw, de bollenschuur en de Holkamer zullen behouden blijven. In de te restaureren bollenschuur zullen 5 loftwoningen worden gemaakt. Daarnaast zal de nieuwbouw in dezelfde sfeer worden gebouwd. De bestaande grote plataan en het hekwerk langs de weg zullen gehandhaafd blijven.
In totaal ontwikkelt de fa. Boei, Amersfoort, zo’n 7 woningtypen op het terrein.


De terreininmeting is door ons gedaan. De verdere uitwerking van het buitengebied bereiden wij voor. Straatinrichting, afwatering en riolering, beplanting zullen uitgewerkt worden en in een bestek vastgelegd.














