
Diverse – RIOOL-/BERGINGS-BEREKENINGEN
opdrachtgever : Diverse gemeentes
planuitwerking : 2019
omschrijving :
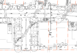
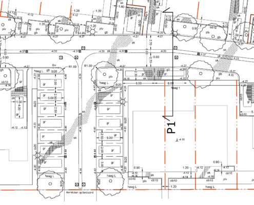
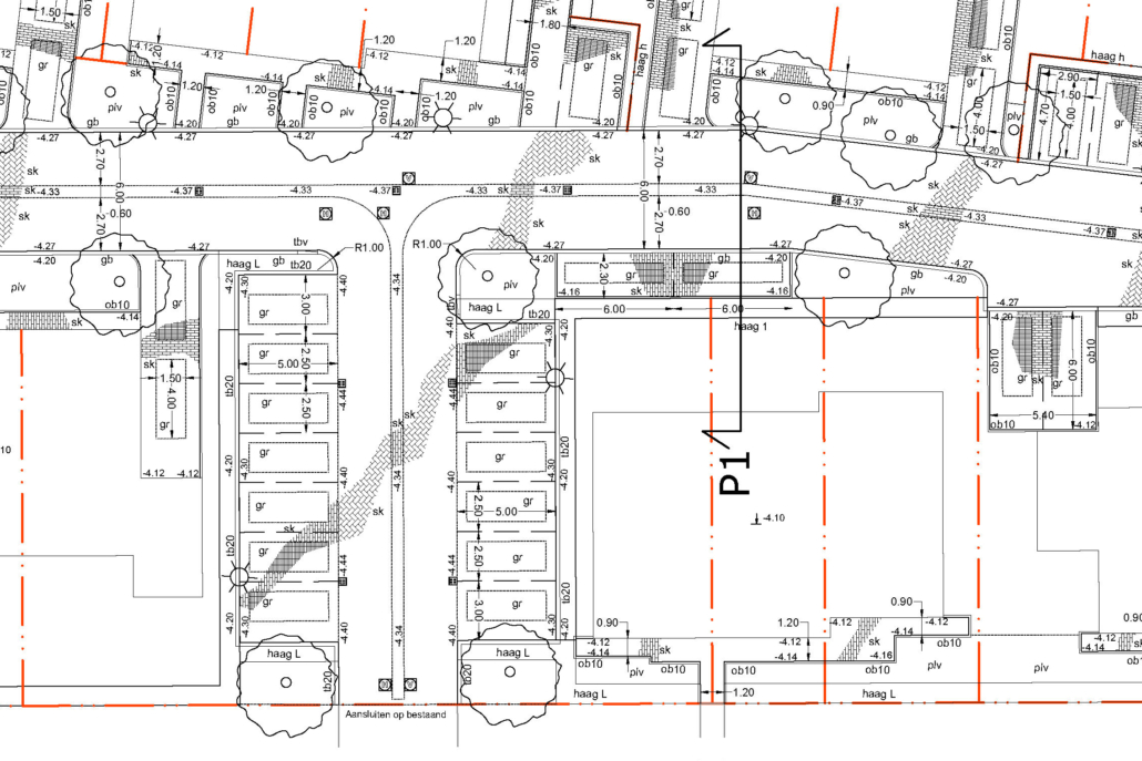
Een onderdeel van onze civiel-cultuurtechnische werkzaamheden is het opstellen van een riool-/waterberging berekening en het daarmee samenhangend rioleringsplan. Gebruikmakend van landelijke neerslagcijfers en/of eisen van de betreffende gemeente komen we tot een verantwoord plan om regenwater op te vangen, te bergen en af te voeren.
Dit jaar maakten we rioleringstekeningen en berekeningen voor nieuwbouwprojecten in onder meer gemeente Lansingerland en gemeente Laren.
werkzaamheden:
inmeting, technische uitwerking, bestek opstellen, aanbesteding, directievoering














